Kopfzeile

neu — Ruhig gelegenes Grundstück mit Aussicht

Grundstück zum Kauf in Dreistetten (2753) / Objektnummer: 16695

Grundstück zum Kauf in Dreistetten (2753) 170.000 €

842 m² Grundfläche

Bauplatz in 2753 Dreistetten – Ihre Chance auf den Bau Ihres Traumhauses!

Objektbeschreibung:

Wir präsentieren Ihnen ein attraktives Fahnengrundstück in ruhiger und idyllischer Lage in 2753 Dreistetten. Mit einer Gesamtfläche von ca. 842 m², wovon ca. 131m² die Zufahrtsfahne einnimmt, bietet dieser Bauplatz eine hervorragende Möglichkeit zur Realisierung Ihrer Wohnträume.

Zufahrt und Erschließung:

Das Grundstück ist über eine 3,5 m breite Zufahrtsstraße erreichbar, die eine bequeme Anfahrt gewährleistet. Die fällige Aufschließungsgebühr an die Gemeinde ist vom Käufer zu entrichten.

Lage und Umgebung:

Genießen Sie von Ihrem zukünftigen Zuhause eine wunderschöne Aussicht in einer ruhigen und familienfreundlichen Umgebung. Die Lage bietet einen idealen Rückzugsort und dennoch gute Erreichbarkeit zu lokalen Annehmlichkeiten.

Teilung des Grundstücks:

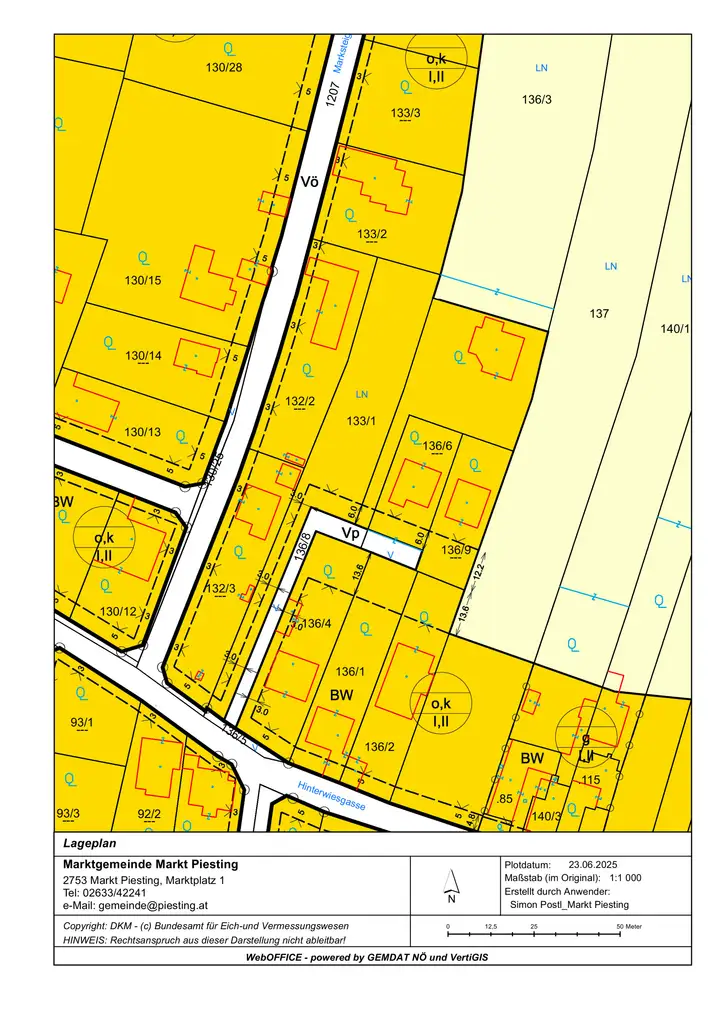
Das beigefügte Bild zeigt einen Vorschlag zur optimalen Teilung des Gesamtgrundstücks von 1821 m². Die Teilung wird durch einen Geometer vorgenommen, und die Kosten dafür trägt der Verkäufer. Bitte beachten Sie, dass die genaue Teilung noch mit der Gemeinde besprochen werden muss, um alle rechtlichen Anforderungen zu erfüllen.

Gerne stelle ich Ihnen das Potential dieses Bauplatzes persönlich vor Ort vor, nutzen Sie diese Gelegenheit und vereinbaren Ihren persönlich Besichtigungstermin. 

Wir freuen uns auf Ihre Anfrage!

IHRE IMMOBILIENTRÄUME - UNSER ZIEL

Die Angaben erfolgen aufgrund der Informationen und Unterlagen, welche uns vom Abgeber oder dessen Beauftragten zur Verfügung gestellt wurden und sind ohne Gewähr! Aufgrund der Nachweispflicht gegenüber dem Eigentümer können wir nur Anfragen mit vollständigen Namen, Telefonnummer und Adresse bearbeiten! 

3,5% Grunderwerbsteuer ; 1,1% Grundbucheintragungsgebühr  ; 3,0% Maklerhonorar + 20 % MwSt.; Vertragserrichtungskosten

Wir weisen darauf hin, dass zwischen dem Vermittler und dem zu vermittelnden Dritten ein familiäres oder wirtschaftliches Naheverhältnis besteht.

Der Vermittler ist als Doppelmakler tätig.

Ausstattung

Bergblick

Lage und Verkehrsanbindung

Das Baugrundstück befindet sich in der Gemeinde Dreistetten, die für ihre ruhige und familiäre Atmosphäre bekannt ist. Visualisierung des Traumhauses: Bitte beachten Sie, dass das im Exposé angezeigte Bild eines Hauses eine KI-generierte Visualisierung ist. Es dient zur Veranschaulichung eines möglichen Bauprojektes auf dem Grundstück.

Grundrisse

Lageplan

Inhalt wird geladen
Preise
Kaufpreis
170.000,00 €
Vermittlungsprovision
Provision
3% des Kaufpreises zzgl. 20% USt.
Fakten
Objekttyp
Grundstück
Grundfläche
842 m²
Status
verfügbar
Thomas Breimaier

realbrokers Dienstleistungs GmbH & Co KG

Thomas Breimaier

Selbständiger Kooperationspartner